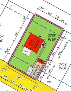
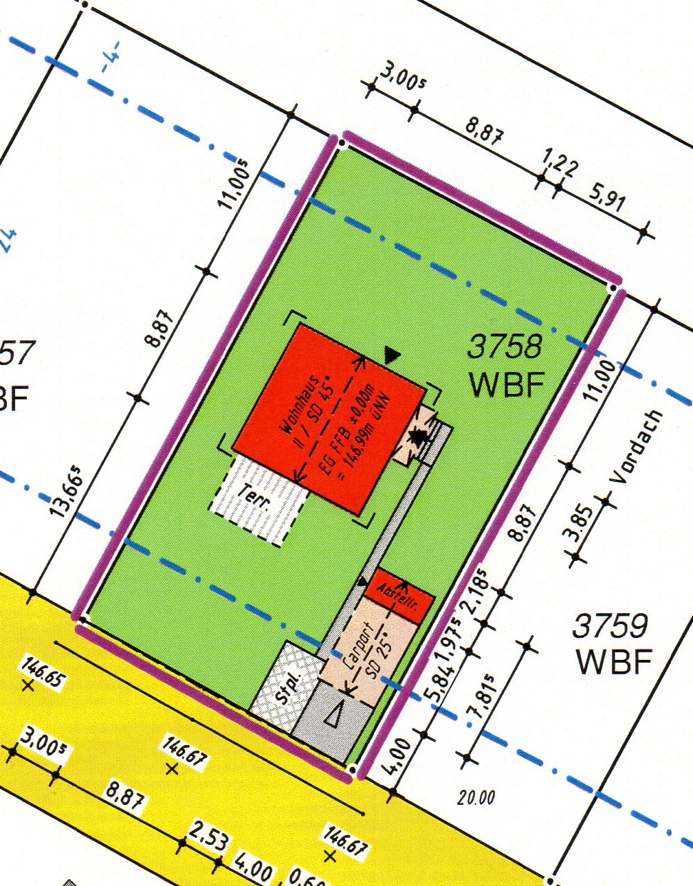
Heute kamen, schön bunt, die Unterlagen vom Vermessungsbüro, die nun auch dem Bauamt vorliegen. Das hier ist also unser Lageplan:
Unser Grundstück hat Nord-Ost-Ausrichtung, sodass die Terrasse vor dem Haus sein muss. Das macht aber nichts, denn laut B-Plan müssen wir sowieo zwei heimische Laubbäume (Apfel und Quitte) pflanzen und die kommen vor das Haus. Hinter dem Haus kann ich keine Bäume pflanzen, denn dort liegen die Flächenkollektoren für die Erdwärmeheizung. Außerdem hat so ein richtiger Cottage-Garten ja auch eine Hecke, die das Grundstück einrahmt und wenn die erstmal schön hoch ist, guckt uns auch keiner mehr in den Tee. Wir werden wohl eine Buchenhecke anlegen, denn Eiben sind giftig (wenn auch sehr schön und immergrün) und Kirschlorbeer kommt mir nicht in den Garten. Maxi hat sich über den großen Garten gefreut und ich mache schon Pläne für meine Hochbeete und den Kräutergarten.
Außerdem habe ich heute die Baugrunduntersuchung bei der Firma Clayton in Auftrag gegeben und diese Woche werde ich mich wohl mal um Strom- und Telefonleitung kümmern.
